VENTA LOTE - BARRIO SAN RAMON
Terreno en venta en San Ramón - Calle Rural Guastavino
VENTA
USD 32.000
Detalle
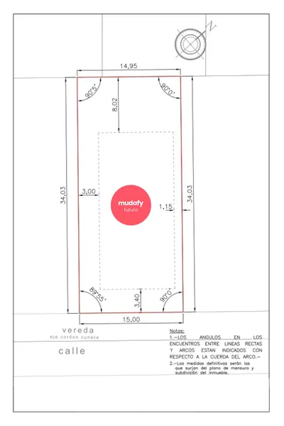
Superficie total 510m²
Superficie del terreno 510m²
Antigüedad 1 años
Orientación NO
Descripción
Lote en venta – Barrio San Ramón, Pilar del Este Excelente lote ubicado en un barrio consolidado, con hermosas casas y un entorno familiar y seguro. Características: - 509,69 m², -Orientación noroeste -Muy bien ubicado dentro del barrio, cerca del acceso principal y de un cul de sac, lo que garantiza tranquilidad y poco tránsito. Servicios subterráneos: -Cloaca -Agua de red -Electricidad -Gas natural -Fibra óptica El terreno cuenta con un proyecto desarrollado especialmente para esta parcela, listo para su aprobación, ideal para quien quiera construir sin demoras. Esta propiedad se encuentra en un barrio privado que garantiza privacidad y confort para quienes buscan un espacio amplio y bien ubicado. No dejes pasar la oportunidad de adquirir una propiedad en una de las zonas de mayor crecimiento en la región. Barrio San Ramon - Pilar del Este. Una combinación perfecta entre un desarrollo de calidad y un equilibrio económico. Detalles del Masterplan: Club House con SUM Buffet Pileta Canchas de futbol y Tenis Gimnasio Colegio Shopping proyectado en las inmediaciones. Escribinos por mas info!!
Todas las medidas indicadas son aproximadas y pueden llegar a diferir de aquellas expresadas en la documentación de la propiedad. Cada Oficina de la Red de servicios para Inmobiliarias Mudafy es de gestión independiente y autónoma. Todas las propiedades publicadas en el perfil de Futuro se encuentran a cargo del corredor inmobiliario responsable de la oficina Fernando Martin Almiron Matrícula: CMCPSI 5070. Toda intermediación y conclusión de las operaciones serán realizadas exclusivamente por el Corredor Inmobiliario Responsable de la oficina.
Ubicación
Abrí tu franquicia Mudafy
Súmate a la red inmobiliaria de mayor crecimiento del país













